Zum Inhalt springen

Empfohlene Beiträge

Geschrieben (bearbeitet)

zuerst ein pic vom preparing in Heathrow

2016099_zpsty3prbvq.jpg

 

EK#236 KORD-OMDB

2016100_zpsc63fgwxe.jpg

 

 

2016101_zpsfivgszhd.jpg

 

 

2016102_zpsmeu4ryce.jpg

 

nach knapp 13h im final 30R

2016103_zpsduxkcsks.jpg

 

 

2016104_zpszrrjnncz.jpg

 

 

2016105_zpsljdbjqbl.jpg

 

 

2016106_zpsexrs4je5.jpg

 

zum Schluss noch zwei pics aus KEWR, mit der soebend gelandeten Swiss A333 und dem Vollmond

2016107_zpsyy192gca.jpg

 

 

2016108_zpsqglwlgdq.jpg

Bearbeitet von Patrik Wedam
  • Gefällt mir 7
Geschrieben (bearbeitet)

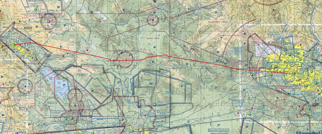
Ich habe mir endlich mal was kleineres gekauft. Die A2A C172. Bin heute das erste mal so richtig VFR geflogen. War spaßig. :) Es ging von Phoenix nach Palm Springs.

Hier die Karte mit der (in Rot) geplanten Route. Erst wird Highway 10 gefolgt. Ab Blythe kann ich dann weiter nach dem VOR von Palm Springs fliegen, welches mich dann direkt zum Airport führt. ;)

kmcjxirl.jpg

Nach dem Start in PHX sind noch einige grüne Flecken (mehrheitlich Landwirtschaft) unter uns. Kurze zeit später wird die Landschaft recht "trocken" werden. Ich folge Highway 10 und behalte den Luftraum im Auge.

r9w5dzzc.jpg

Fast da. Ich habe Radial 268 PSP verlassen und kreuze nun wieder den altbekannten Highway 10. Ich bin ge-cleared für die direkte "visual" Landung auf Runway 31R. Der Airport liegt vor uns auf c.a 1 Uhr.

mqoh36e3.jpg

Beim einschwenken auf den Runway noch mal einen Blick nach hinten. Eine Alaska 738 ist nämlich im Anflug auf die Parallelbahn. Nix zu sehen. :)

3svhx68v.jpg

 

 

uqa5g3vc.jpg

 

Die Alaska Boeing ist jetzt im very short final und bringt Sonnenhungrige Turis nach Palm Springs.

pgblz4ee.jpg

Bearbeitet von Yoda
  • Gefällt mir 16
Geschrieben

CS B707

56.jpg


IL-18 Cubana

81.jpg


L-1011 Trans World Airlines

258.jpg


AB6305 // EDDH - EDDM

526.jpg


AA1991 // KTPA - KPHL

642.jpg


LH430 // EDDF - KORD

682.jpg

  • Gefällt mir 41
Geschrieben

ST2532 // EDDF - LEPA


7911suoc1.jpg


79120yo0y.jpg


Taxi to HP RWY18

7914c5p1g.jpg


Take-Off

791626q6k.jpg


Climb to CRZ LVL

7918adowy.jpg


7920mvqiw.jpg


Foggy Alps

7925brrl4.jpg


Descent

7928firnl.jpg


ILS RWY 24L

79296fo10.jpg


Parking Position

7933ecdns.jpg

  • Gefällt mir 44
Geschrieben

Ein paar Shots von diversen Flügen:

 

160506_9_zpskkouy64u.jpg

 

 

160506_6_zps5nqtcmy8.jpg

 

 

160506_4_zpsmfzvh9u6.jpg

 

 

160506_3_zpsm9qexeim.jpg

 

 

160506_7_zpswypbmlxo.jpg

 

 

160506_8_zpsvhiqdera.jpg

 

 

160506_10_zpsz1cfmwbu.jpg

 

 

160506_2_zpsfvfwfegj.jpg

 

 

160506_1_zps519zqerw.jpg

 

 

160506_5_zpsjkrdkhok.jpg

  • Gefällt mir 17
Geschrieben

G3/5615 // SBGL - SBSV

11992.jpg

11994.jpg

11999.jpg

12002.jpg

12005.jpg

12010.jpg

  • Gefällt mir 44
Geschrieben (bearbeitet)

Einige aus den letzten Tagen.....

 

 

 

Mit der 777 in Heathrow, neben einem alten Kollegen

 

twitter2es5g.jpg

 

 

 

Mit der 737 im Climb....

 

twitter0196s3a.jpg

 

 

 

und wieder im Descent....

 

twitter028zsct.jpg

 

 

 

....im Final

 

twitter03eruki.jpg

 

 

 

...und beim Deboarding :)

 

twitter04ybskj.jpg

Bearbeitet von jeffreycolt
  • Gefällt mir 13
Geschrieben

PG276 // VTSP - VTBS

11982.jpg


FR3632 // EGSS - EDDW

11625.jpg


TK007 // LTBA - KLAX

11951.jpg


AB8213 // EPWA - EDDT

11961.jpg

  • Gefällt mir 42
Massimo Fontana
Geschrieben

160506_4_zpsmfzvh9u6.jpg

 

Hallo Dominik

 

Welcher Flughafen ist das? PRG?

 

 

 

 

 

 

 

 

 

 

 

 

 

 

 

 

 

 

 

 

 

 

 

Geschrieben

BA#114 JFK-LHR

2016109_zpsvdtzncaf.jpg

 

 

2016110_zpsvridmdim.jpg

 

 

2016111_zpszoklifvn.jpg

 

 

2016112_zpsoqdljdcb.jpg

 

AB#8410 TXL-VIE, ILS34

2016113_zpscffrxpml.jpg

 

 

2016114_zps2ywfuogc.jpg

 

AB#7762 TXL-PMI

2016115_zpsmbiyokbe.jpg

 

 

2016116_zpsjwnn3nlw.jpg

  • Gefällt mir 7
Geschrieben

Hi Massimo,

 

Ist möglich das es Prag war (entweder Prag oder Manchester). Auf jeden Fall war es ein default FSX Flughafen mit einem verbesserten AFCAD von Ray Smith (erhältlich bei avsim)

  • Gefällt mir 1
Massimo Fontana
Geschrieben (bearbeitet)

Heute ging es nach Split zu den lieben Kroaten - Flug WK 448/449 wurde aber von LX operiert ;)

 

WK 448 | ZRH-SPU | gerade angekommen und beim "deboarding"

 

3ljuhjyd.jpg

 

WK 449 | SPU-ZRH | ready for boarding - langsam verabschiedet sich auch die Sonne in Split - eine gemütliche Stimmung B)

 

rmtrgv54.jpg

 

Es gibt nichts schöneres als beim Sonnenuntergang in der Luft zu sein - Wer ist der gleichen Meinung?

 

q6haerf8.jpg

Bearbeitet von Massimo Fontana
  • Gefällt mir 13
Geschrieben (bearbeitet)

MUC-DUS - Anflug auf die 05R :)

83chmven.jpg

 

 

twyspcli.jpg

 

 

zv5jn3p6.jpg

Bearbeitet von Yoda
  • Gefällt mir 15
Geschrieben

LX39 // Take-Off at KSFO for LSZH

11211.jpg


RO262 // From LTBA at LROP

11843.jpg


SK1422 // EKCH - ESSA

11531.jpg


YSSY // Jetstar parade

11855.jpg

  • Gefällt mir 40
Geschrieben

LX#93 GRU-ZRH:

mit der Qatar T7 nach Doha vor mir und einer GOL in neuem Kleid auf der rechten Seite

2016117_zpspphqm3bl.jpg

 

die Qatar Maschine ist abgehoben, wir sind die Nächsten

2016118_zpsdnfrckbj.jpg

 

 

2016119_zpsxjygyaia.jpg

 

nach 10:30h über den Schweizer Alpen

2016120_zpsnpsnm7og.jpg

 

ILS14, weil Nachmittag

2016121_zpshdqfn4tx.jpg

 

 

2016122_zpsftng8635.jpg

 

 

2016123_zpsymqvvgkr.jpg

 

 

2016124_zps70b0krle.jpg

 

 

2016125_zpswiwj9ecz.jpg

 

 

2016126_zpscu3y6y1x.jpg

  • Gefällt mir 6
Geschrieben

KL1094 // EGCC - EHAM

691180sky.jpg


Burj Al Arab - Helipad

5396u6udx.jpg


LH779 // Boarding at WSSS for EDDF

5298fhjj0.jpg


EK56 // Taxi to Holding Point RWY23L at EDDL

51803ujr9.jpg


EHAM // KLM Flight School

4842dtyst.jpg


LG1906 // EDDF - ELLX

6710zds06.jpg

  • Gefällt mir 40
Geschrieben

Beechjet // KLAX departure

4085.jpg


Swiss Rega // Agusta A109SP

3522.jpg


BAC 1-11 // Hapag-Lloyd

3454.jpg


Ayers Rock

4082hw87t.jpg


AA6175 // KBOS - EGLL

4032fun5.jpg


JU-52 / D-AQUI // EBBR departure

3445.jpg


A5/4048 // LFLL - LFJL

4039yu7t.jpg


X3/2518 // EDDK - LEPA

4016.jpg


CV9722 // ELLX - ZHCC

3894sue7.jpg


Egyptair A321 / SU-GBT // LOWW

3345.jpg

  • Gefällt mir 41
Geschrieben

Mal wieder etwas Helikopter Fliegerei aus dem X-Plane von mir:

oLQbyn.jpg

FZSOv2.jpg

mhl0tH.jpg

Au3eJ5.jpg

gdMf8m.jpg

hvPW4X.jpg

 

Gruss Stefan

  • Gefällt mir 1
Geschrieben

AB8003 // ESSA - EDDT


Gate 62

12040.jpg


Baggage loading

12042.jpg


Taxi to HP RWY01L

12043.jpg


Take-Off

12045.jpg


12047.jpg


12050.jpg


12051.jpg


Descent into EDDT

12052.jpg


Final approach

12053.jpg


Relaxed ground staff at Berlin

12055.jpg


12057.jpg


12058.jpg

  • Gefällt mir 39
Geschrieben

war heute wieder einmal am Heligrill...

2016127_zpsycxtii7y.jpg

 

 

2016128_zpsuv7fqm2w.jpg

 

4U#9766 Düsseldorf-Zürich

2016129_zpsz0mzlglz.jpg

 

 

2016130_zpsnjsjydxa.jpg

 

 

2016131_zps3fkkyquc.jpg

 

 

2016132_zpsq6gk05pp.jpg

 

 

2016133_zpsa6ohkxfl.jpg

 

und dann wieder zurück, ab der rwy32

2016134_zpsen3ktavf.jpg

  • Gefällt mir 4
Massimo Fontana
Geschrieben

Deboarding | LX 1838 | ZRH-ATH

 

3jeqc46v.jpg

  • Gefällt mir 7
Geschrieben

OK905 // UUEE - LKPR


12080.jpg


12081.jpg


12082.jpg


12086.jpg


12088.jpg


12097.jpg


12098.jpg


12100.jpg


12102.jpg


12107.jpg

  • Gefällt mir 41
Massimo Fontana
Geschrieben (bearbeitet)

Hatte heute Kurzstreckdienst mit der T7 :wub:

 

Outcheck at LKPR | LX 1499 PRG-ZRH | B777-300ER | HB-JNC

 

hhbsi5zy.jpg

 

9gcc99n9.jpg

 

Die AKE's Container verladen verladen - PAX today 186

y8l45ta5.jpg

 

n4xmt59u.jpg

Climb as Swiss 133B - SID BALTU 2A Departure

57r9iry5.jpg

Bearbeitet von Massimo Fontana
  • Gefällt mir 5
Geschrieben (bearbeitet)

AA#2402 KLAX-KDFW

2016135_zps4voqhwzh.jpg

 

 

2016136_zpsuuywtnyd.jpg

 

 

2016137_zps5skr7kzj.jpg

 

OS#8780 EDDT-LOWW

2016138_zpsghtwzj0a.jpg

 

 

2016139_zps3aytweqi.jpg

 

CX#252 EGLL-VHHH

2016140_zpsktxjonnm.jpg

 

 

2016141_zpsta7dmbjs.jpg

 

 

2016142_zps1tpdijqr.jpg

 

 

2016143_zpszbeeicqu.jpg

Bearbeitet von Patrik Wedam
  • Gefällt mir 4
Michael Briner
Geschrieben

LIRF1.jpg

 

LIRF2.jpg

 

LIRF3.jpg

  • Gefällt mir 15
Gast
Dieses Thema wurde nun für weitere Antworten gesperrt.
×
×
  • Neu erstellen...